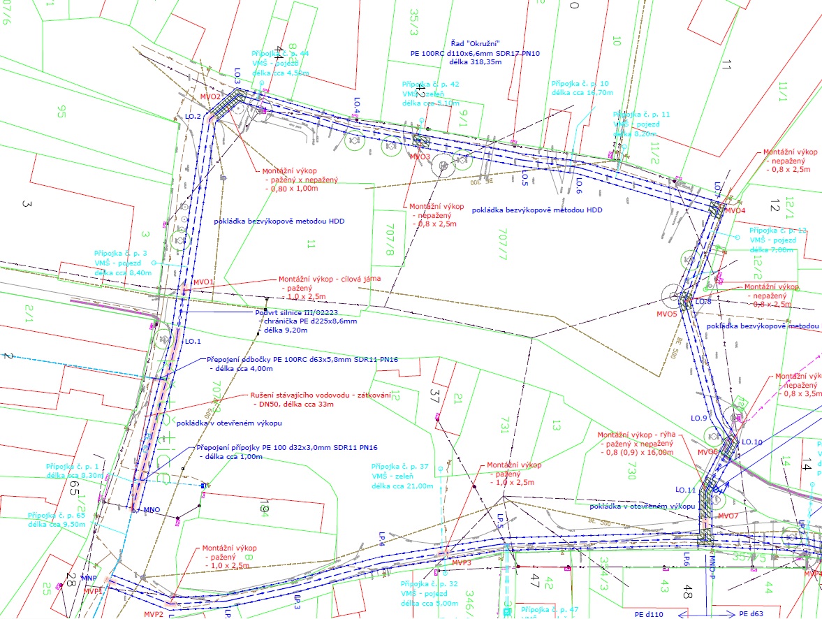
V místní části Křtětice bylo provedeno prodloužení veřejného vodovodu. V rámci stavby bylo položeno cca 700 m nového vodovodního potrubí a bylo provedeno 23 nových přípojek v délce cca 230 m.
Doba realiazce 04/2025-06/2025
Náklady: 4,25 mil Kč
Přislíbená dotace: 1,92 mil Kč



